ARRL

Register Account

Login Help

News

Reports of Hurricane Devastation on Dominica Relayed by Amateur Radio, Picked up by Media

09/20/2017

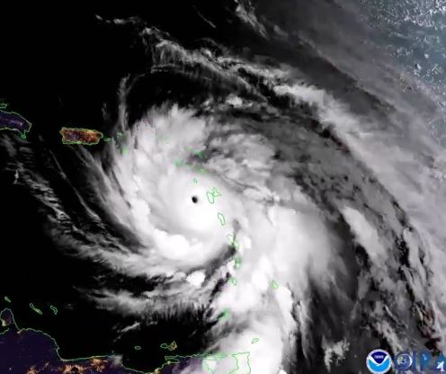
[This updates a report posted earlier.] In the immediate aftermath of then-Category 5 Hurricane Maria's passage over Dominica on Monday, Frans van Santbrink, J69DS, on St. Lucia checked into the VoIP Hurricane Net to relay damage reports he'd gathered via repeater conversations with other hams there. The New York Times also reported and posted audio that Amateur Radio was a primary source to gather initial damage reports from the storm-ravaged Caribbean Island nation of some 70,000 residents. US-based Jullian Antoine, J73JA, solicited reports via a VoIP connection with the J73MAN repeater on Dominica.

 

“All power lines are down, our telephone lines are down, Internet lines, everything is down,” came a reply to Antoine’s inquiry. “Roads are blocked with debris. No confirmed information on fatalities or injuries.”

What seems to be a subsequent responder reported, “Lots of flooding, water coming into windows and doors,” while another indicated that while he was “nice and dry now,” he had lost his roof and was at a shelter. “From what I’ve seen so far, it’s pretty bad,” another report stated. The same responder said he could see some landslides too, along with broken trees and utility poles. “It’s just damage all over,” concluded the report, apparently from J73CC.

 

 

VoIP Hurricane Net Operations Director Rob Macedo, KD1CY, told ARRL that he recorded the audio that the New York Times used on Tuesday while he was monitoring the J62DX-L link on EchoLink.

In his report to the VoIP Hurricane Net, van Santbrink recounted a damage account from Kerry Fevrier, J69YH, in Roseau, Dominica. “Trees down, river has flooded half the village, cars are all over, most houses have lost their roofs or are destroyed, the area between his house and the church is just flattened…in his words, ‘devastation is total,’” van Santbrink told the net.

He also heard from J73CI, who has lost his roof; J73WA on the northern end of the island, who lost his tower and was uncertain how he was going to weather the back end of the storm, and J73MH, who also lost his roof and was “just hunkering down and hoping for the best.” — Thanks to the VoIP Hurricane Net; New York Times

 



Back

EXPLORE ARRL

Instragram     Facebook     Twitter     YouTube     LinkedIn
Copyright © 2026 The American Radio Relay League, Inc. All rights reserved. Reproduction of material from any ARRL web page without written permission is strictly prohibited.